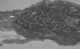
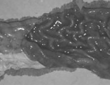
'돼지 증식성 장염(PPE)'은 Lawsonia intracellularis에 의해 유발되는 전염성 위장관 질환이다. 임상적으로 PPE는 성장기 돼지에서 출혈성 설사를 유발하며 때로는 폐사에 이르게 한다. 하지만, 질병이 만성 단계로 진행되면 감염된 돼지는 더 이상 뚜렷한 증상을 보이지 않는다. 본 연구의 목적은 경남 지역 돼지 사육장과 도축장에서 L. intracellularis의 존재 여부를 확인하기 위함이었다. 돼지 증식성 장염에 대한 조사는 중합효소연쇄반응(PCR) 검사법을 사용하여 총 1,495개 표본을 대상으로 실시하였다. PCR 산물은 분변 및 점막 스크래핑 검체에서 210bp, 329bp 위치에 특이적인 밴드를 나타냈다. 임상적으로 문제가 되었던 농가에서 분변을 채취하여 45농가 420건을 PCR법으로 검사한 결과 농가별 양성농가는 26농가가 감염되어 57.8%의 감염률을 보였다. 검사 건수별로는 420개의 분변 검체 중 113개(26.9%)가 PPE 양성으로 확인되었다. 1,075개의 점막 스크래핑 검체 중 109개(10.1%)가 PPE 양성으로 확인되었다. 총 1,495개 검체 중 222개(14.8%)가 PPE 양성으로 확인되었다. [논문
부산의 사육돼지에서 '일본뇌염 바이러스(JEV)'와 '돼지 파보바이러스(PPV)'의 항체 보유율을 조사하기 위해 2024년 1월부터 11월까지 9개 돼지 농장에서 439개의 혈액 샘플을 수집했다. JEV의 전체 항체 보유율은 15.4%로 매우 낮은 백신 접종률을 나타냈다. JEV 항체 보유율은 계절과 지역에 따라 상당히 달랐으며 모돈(39.3%)에서 비육돈(11.6%)에 비해 더 높은 항체 보유율이 관찰되었고 가을(34.7%)에 최고조에 달했다. 이와 대조적으로 PPV의 전체 항체 보유율은 98.6%로 매우 높은 백신 접종률을 나타내었다. PPV 항체 보유율은 모든 그룹과 계절에 걸쳐 지속적으로 높았으며, 이는 백신 접종이 모돈을 대상으로 집중적으로 이루어지기 때문으로 판단된다. 모돈의 항체 보유율은 100%였다. 지역 및 농장 단위에서 JEV 항체 보유율의 차이는 JEV에 대한 더욱 강화된 백신 접종 캠페인의 필요성을 시사한다. 본 연구는 JEV 및 PPV 발생 위험을 완화하고, 공중 보건 안전을 보장하며, 양돈 농가의 경제적 손실을 최소화하기 위해 강화된 백신 접종 전략, 정기적인 질병 모니터링, 그리고 환경 관리의 중요성을 강조한다. [논문 원문(바로보
클로스트리듐 퍼프린젠스(Clostridium perfringens; 이하 C. perfringens)균은 토양과 동물 및 인간의 장 내용물에 풍부하게 존재한다. 돼지에서는 설사, 출혈성 및 괴사성 장염과 같은 소화기 질환을 유발하는 병원균이다. 본 연구에서는 설사 증상을 보이는 자돈에서 11개의 C. perfringens 분리주를, 건강한 자돈에서 18개의 분리주를 분리했다. 모든 C. perfringens 분리주는 다중 PCR 검사를 통해 유형 A로 확인되었다. β2 독소 유전자는 C. perfringens 분리주 29개 중 27개에서 검출되었다. 설사 자돈 분리주에서는 81%(9/11), 건강한 자돈 분리주에서는 100%(18/18) 확인되었다. 모든 유전자의 염기서열은 동일했다. 결론적으로, C. perfringens의 β2 독소 유전자는 한국 자돈에서 설사 발생 여부와 관계없이 널리 분포되어 있었으며, 장 질환과의 명확한 연관성은 관찰되지 않았다. 그러나 C. perfringens의 β2 독소 유전자는 건강한 자돈에서 독성을 나타낼 수 있으며, 장 병원성을 유발할 수 있다. 자돈에서 분리된 29개의 C. perfringens 균주에 대한 PFGE(pu
신경증상과 설사를 유발하는 병원체로 알려진 '돼지 아스트로바이러스'가 호흡기 질병도 유발할 수 있는 것으로 밝혀졌습니다. 노스캐롤라이나 주립대학교, USDA 농업연구소, 아이오와 주립대학교, 캘리포니아 대학교 산타크루즈의 공동 연구팀은 '돼지 건강 정보 센터(Swine health information center)'의 자금 지원을 받아 '돼지 아스트로바이러스 4형(porcine astrovirus 4, 이하 PoAstV4)' 단독으로 호흡기 질환을 일으킬 수 있는지 확인하기 위한 연구를 실시했습니다. PoAstV4 미감염 새끼 돼지(CDCD)를 바이러스에 감염시키고 그로 인한 감염과 병리학적 병변을 특성화하는 것이 포함되었습니다. 연구 결과 감염된 새끼 돼지는 분비물로 바이러스를 배출하고, 기관염과 기관지염을 나타냈고 조직에서 바이러스가 검출되었으며,, 감염에 대한 생산적인 면역 반응(IgM 및 IgG 검출)을 보였습니다. 이번 연구의 결과는 PoAstV4가 새끼 돼지의 호흡기에서 상피친화성 바이러스 감염의 주요 원인이 될 수 있음을 확인한 최초의 연구입니다. PoAstV4가 어린 돼지에서 기관염과 기관지염을 유발할 수 있는 주요 호흡기 병원체임을 뒷받침하
최근에 아스트로바이러스(AstVs)와 관련된 신경계 질환이 돼지, 반추동물, 밍크, 인간에서 보고되었다. 2017년 헝가리와 미국에서 뇌척수염을 보이는 돼지의 중추신경계(CNS)에서 신경침습성 돼지 아스트로바이러스(Ni-PAstV) 3형이 검출되었다. 국내 돼지에서 신경학적 증상을 보이는 개체들을 진단하는 과정에서, 화농성 뇌척수염과 뇌막염, 신경세포의 빈혈구화, 신경교증(Gliosis)를 특징으로 하는 조직병리학적 소견이 관찰되었으며, 2020년 8월부터 9월까지 한국 내 3개 농장(정읍, 함양 소재)에서 채취된 4마리의 돼지(4~8주령) CNS 샘플에서 '역전사 중합효소 연쇄반응(RT-PCR)'을 통해 PAstV가 확인되었다. 이후 3개의 뇌 샘플에서 ORF2 부위(region)가 성공적으로 분리되어 후속 분석이 가능해졌다. PAstV의 4가지 유전형(PAstV1, 3, 4, 5)이 검출되었으며, 뇌 샘플에서 PAstV의 다중 유전형 동시 감염이 관찰되었다. 이는 한국에서 돼지에서 Ni-PAstV 감염을 보고한 첫 번째 연구이다. [논문 원문(바로보기), Porcine Astrovirus Infection in Brains of Pigs in Korea,
'돼지 레스피로바이러스 1형(Porcine respirovirus 1; PRV1)'은 최근에 출현한 돼지 호흡기 바이러스로, 파라믹소바이러스과 레스피로바이러스속에 속한다. 2009년 중국 홍콩에서 처음 발견된 이후, PRV1은 미국과 여러 유럽 국가에서 확인되었다. 이로 미루어 볼 때 이 신종 바이러스가 전 세계적으로 퍼졌을 가능성이 있다. 그러나 아시아에서는 중국에서만 바이러스가 보고되었다. 그런데 PRV1이 한국 전역의 7개 시군에 위치한 16개 농장의 돼지에서 처음 발견되었다. 검사한 구강액 샘플을 기준으로 71.4%의 유병률을 보였으며, 이는 바이러스가 이미 한국 양돈농가에 널리 퍼져 있음을 시사한다. 한국 PRV1 균주의 추가적인 유전적 특성에 대한 연구를 위해, 세 개의 다른 양돈장에서 채취한 PRV1 양성 샘플로부터 완전한 게놈과 두 개의 F 유전자 서열을 확보했다. 완전한 게놈과 F 유전자 서열을 기반으로 한 계통 발생 분석에 따르면, 세 개의 한국 PRV1 균주는 모두 유럽 계통 1에 속하며, 홍콩(중국), 독일, 폴란드에서 채취한 균주와 밀접한 관련이 있는 것으로 나타났다. PRV1 염기서열의 제한된 가용성으로 인해 한국 PRV1의 기원에
'돼지호흡기코로나바이러스(PRCV)'는 '코로나바이러스'과의 '알파코로나바이러스'속 '알파코로나바이러스1'의 일종이다. 1997년 PRCV가 처음 확인된 이후로 PRCV의 유병률에 대한 몇 가지 연구가 진행되었지만, 최근 한국에서 이 바이러스의 유병률과 유전적 특성에 대한 연구는 없었다. 본 연구에서는 시중에서 판매되는 TGEV/PRCV 감별 효소 면역 흡착 분석 키트를 사용하여 한국 양돈농장의 PRCV 혈청 유병률을 측정했다. 농장 수준의 PRCV 혈청 유병률은 68.6%(48/70)로, 한국의 이전 보고와 유사한 수치로, PRCV가 여전히 전국의 한국 양돈농장에서 유행하고 있음을 시사한다. 또한, 검사한 20개의 PRCV 양성 농장 중 9개 농장(45.0%)의 구강액 샘플 17개(28.3%)에서 PRCV RNA가 검출되었으며, TGEV RNA는 어떤 샘플에서도 검출되지 않았다. 한국 PRCV 균주의 유전적 특성을 조사하기 위해 이 연구에서 얻은 PRCV 스파이크 유전자 서열에 대한 유전적 및 계통 발생학적 분석이 수행되었다. 한국 PRCV 3종(KPRCV2401, KPRCV2402, KPRCV2403)은 서로 98.5-100%의 상동성을 공유했고, 유럽과
장(소화기)에서 발생하는 모든 질병은 경제적인 측면에서 훨씬 더 직접적으로 부정적인 영향을 미칩니다. 사료효율과 일당증체와 관련이 있기 때문입니다. 출하하는 돼지 숫자도 감소시킵니다. 도체 품질도 저하시킵니다. 회장염은 세계적으로 흔한 질병입니다. 90% 정도의 농장이 감염된 상황이며, 이 중 30%의 농장은 무증상 상태로 추정됩니다. 유럽의 모돈 500두 농장에서 실시한 연구에 따르면 회장염에 의한 연간 비용은 3만7천 유로(한화 5천4백만원)가 될 것으로 추산된 바 있습니다. 정리 돼지와사람(pigpeople100@gmail.com)